Ihr Traum vom Eigenheim: Malerisches Grundstück mit Waldblick in Wilhering

Typ:
Kauf
Objektnummer:
3356

Auf einen Blick

Ort
4073 Wilhering
Gesamtmiete
385.000 € Kaufpreis

Allgemeine Beschreibung

Entdecken Sie ein herausragendes Grundstück in der malerischen Gemeinde Wilhering!

 

Die idyllische Lage, eingebettet in die Natur, garantiert eine ruhige und angenehme Wohnatmosphäre und ist dennoch gut an die Infrastruktur angebunden. In 5 Gehminuten erreicht man die nächste Bushaltestelle und ist in kürzester Zeit am Linzer Hauptplatz.

Einen Schritt aus der Haustüre, lädt das wunderschöne Donautal zum Spazieren gehen und Rad fahren ein.

 

Nutzen Sie diese seltene Gelegenheit, um Ihre Wohnträume zu verwirklichen und profitieren Sie von den zahlreichen Vorzügen, die Wilhering als Wohnort zu bieten hat.

 

Es gibt zwei Varianten dieses Grundstück zu erwerben:

 

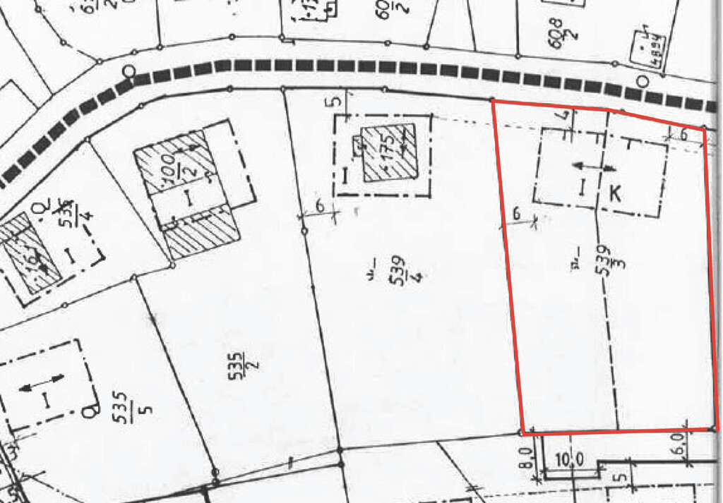
Da dies die Hälfte eines Grundstücks ist, sind die Flächenangaben nur eine grobe Einschätzung.

Selbstverständlich wird noch eine exakte Vermessung von einem befugten Gutachter bzw. Vermessungsingenieur durchgeführt.

Die Kosten für die Vermessung einer Grundstücksteilung trägt der Verkäufer.

Nach unserer aktuellen Einschätzung würde eine Teilfläche ca. 1.100 m² und die zweite Teilfläche ca. 1.080 m² umfassen.

 

Mögliche Bebauung siehe Bebauungsplan.

 

Kaufpreis: VB € 350,-/m²

 

Kontaktieren Sie uns für weitere Informationen und vereinbaren Sie einen Besichtigungstermin!

 

Ihr Ansprechpartner:

Christoph Zeininger, MBA

ZEININGER IMMOBILIEN GmbH

Harrachstraße 4/2/1 | 4020 Linz

Tel.: 0732 / 272 123 | Mobil: 0699 / 17 93 66 67

christoph@zeininger.immobilien

www.zeininger.immobilien

 

Unverbindliches, freibleibendes Angebot. Informationen nach bestem Wissen und Gewissen vom Abgeber erhalten - für die Richtigkeit wird keine Haftung übernommen. Mündliche Nebenabreden zum angebotenen Objekt bedürfen zu Ihrer Wirksamkeit der Schriftform. Irrtümer, Druckfehler und Änderungen vorbehalten. Es besteht zwischen dem Vermittler und dem Abgeber ein wirtschaftliches Naheverhältnis. Der Vermittler ist als Doppelmakler tätig.

Einmalige Kosten

Kaufpreis € 385.000
Provision 3 % zzgl. 20% USt.

Laufende Kosten

Betriebskosten k.A.
Gesamt k.A.
Christoph Zeininger, MBA
Geschäftsführung Christoph
Zeininger, MBA
+43 699 1793 6667 christoph@zeininger.immobilien

Ihre Anfrage